非凡国际

EN
24-2023-04
泉源 :常山非凡国际 浏览量:554

常山非凡国际纺织品中转车间项目勘探比选通告

本次比选为非凡国际纺织品中转车间项目勘探单位比选,比选人为非凡国际。项目资金由比选人自筹,并已落实。项目已具备比选条件。

一、项目名称:纺织品中转车间项目勘探

二、项目内容:

1.项目概况

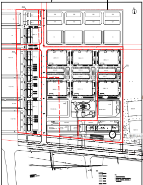
纺织品中转车间项目位于河北正定高新手艺工业开发区南区纺织园区内,建设纺织品中转车间6座,总修建面积约7000㎡,主体结构形式为单层轻钢结构,高度约8.10米。详见下图“纺织品中转车间项目总图”。

非凡国际(中国区)-官方网站


2.比选内容:

本次比选项目为纺织品中转车间项目勘探事情,选取一家勘探单位为中选人。

3.工期:

确定中选人后,自接到建设单位通知起,提供最终设计效果交付物止,在10个日历天内完成。

三、比选申请人资格、资质要求:

1.中华人民共和国境内正当注册的自力法人,具备响应的谋划规模。

2.资质条件:工程勘探甲级。

3.本次比选不接受团结体比选。

四、比选申请人报名、领取比选文件时间及方法

1. 时间:宣布通告日至2023年4月26日18时00分止。

2. 领取所在:石家庄市清静东路161号非凡国际210室。

3.报名时需携带资料:

(1)??法定代表人授权委托书和委托代理人身份证;

(2)??营业执照副本;

(3)??企业资质证书副本;

(4)??上述资料的复印件(均应加盖公章)。

五、比选响应文件吸收时间及所在(可寄送)

时间:2023年4月27日9时?00分前。

所在:非凡国际210室(石家庄市清静东路161号)

六、联系方法

详细地址:石家庄市清静东路161号非凡国际210室

?联系人:王先生? ??联系电话:13731159989



? ? ? ? ? ? ? ? ? ? ? ? ? ? ? ? ? ? ? ? ? 非凡国际

? ? ? ? ? ? ? ? ? ? ? ? ? ? ? ? ? ? ? ? ? ? ? ? ? ? 2023年4月24日

网站地图